Gray Wolfdog

"Genn" - Distinguished High Content Male

Genn
♂ Male Wolfdog

About Genn

Gray Wolfdog, known as "Genn," represents exceptional strength and character in our breeding program. Born on April 8th, 2018, this remarkable male demonstrates the perfect balance of wolf-like presence and gentle nature. With his impressive stature and distinguished lineage, Genn embodies the qualities we value most in our high-content wolfdog breeding lines. His commanding presence and gentle temperament make him an ideal ambassador for the breed.

Basic Information

Born: April 8, 2018
Sire: Rocky Man ("Rocky")
Dam: Ditto Bug ("Ditto")
Content: F3 92.7% High Content

Physical Stats

Height: 28.5 inches
Weight: 105 lbs
COI: 33%
Embark: Clear

Photo Gallery

Genn Photo 1
Genn Photo 2
Genn Photo 3

Health Testing & Medical Records

Comprehensive Health Evaluation

Genn has undergone thorough health testing including both preliminary and official evaluations to ensure he meets our stringent breeding standards. His health records demonstrate excellent results across all tested areas, making him a valuable contributor to our breeding program.

OFA Certifications

Hip Dysplasia: Good
Elbow Dysplasia: Normal
Patellar Luxation: Normal

Additional Testing

Cardiac (Sept 2025): Normal/Clear
CAER (Dec 2024): Normal with Breeder Note
Genetic Testing: Clear

Preliminary Health Screenings

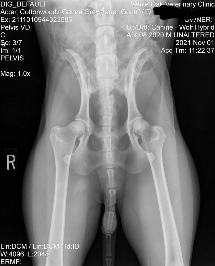
Genn Preliminary Hip X-Ray

Preliminary Hip X-Ray

Early evaluation: Excellent structure

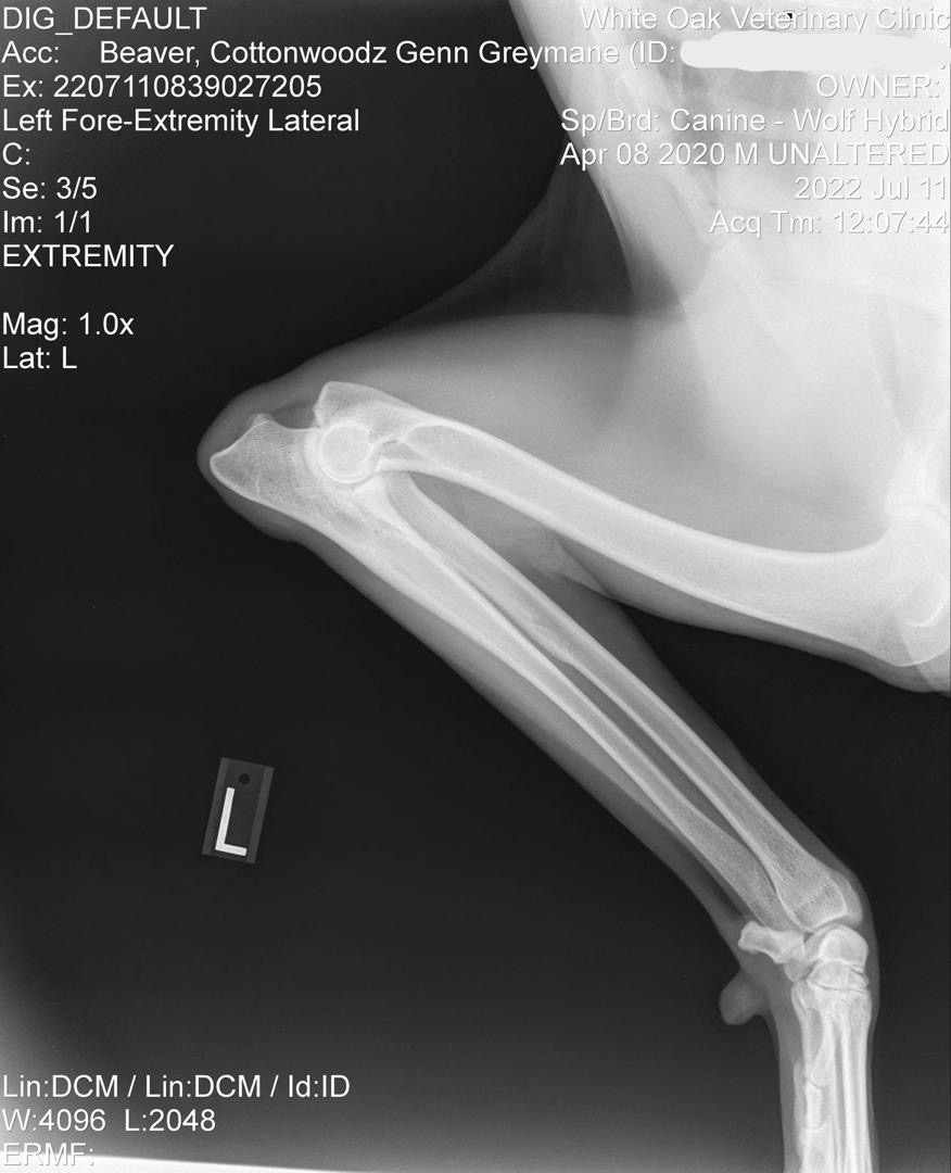
Genn Preliminary Left Elbow X-Ray

Preliminary Left Elbow X-Ray

Early evaluation: Normal formation

Genn Preliminary Right Elbow X-Ray

Preliminary Right Elbow X-Ray

Early evaluation: Normal formation

Official OFA Evaluations

Genn Official Hip X-Ray

Official Hip X-Ray

OFA Hip Evaluation: Good

Genn Official Left Elbow X-Ray

Official Left Elbow X-Ray

OFA Elbow Evaluation: Normal

Genn Official Right Elbow X-Ray

Official Right Elbow X-Ray

OFA Elbow Evaluation: Normal

Genetic Testing Results

Embark Breed & Health Analysis

Comprehensive genetic testing confirms Genn's exceptional bloodline heritage and health status through state-of-the-art DNA analysis technology.

Genn Embark Summary
Genn Embark Breed Results
Genn Embark Certificate

Additional Photos

Genn Photo 4
Genn Photo 5
Genn Photo 6